Meet Jess Kalisiak

Meet Jess Kalisiak, a marine biologist from the United Kingdom full of purpose, courage and passion for marine life.
Tell me about yourself (where did you grow up, how was your childhood like, what are your hobbies)
I have always been interested in the environment; my bachelor’s degree was in geography and I specialised in ecology, but it wasn’t until my final year when I learnt how to dive that I thought about a career in marine biology. After graduating I spent a year gaining experience before completing a master’s degree in Tropical Marine Biology. Now I am working as a marine educator in the Maldives!
How did your career as a marine scientist started?
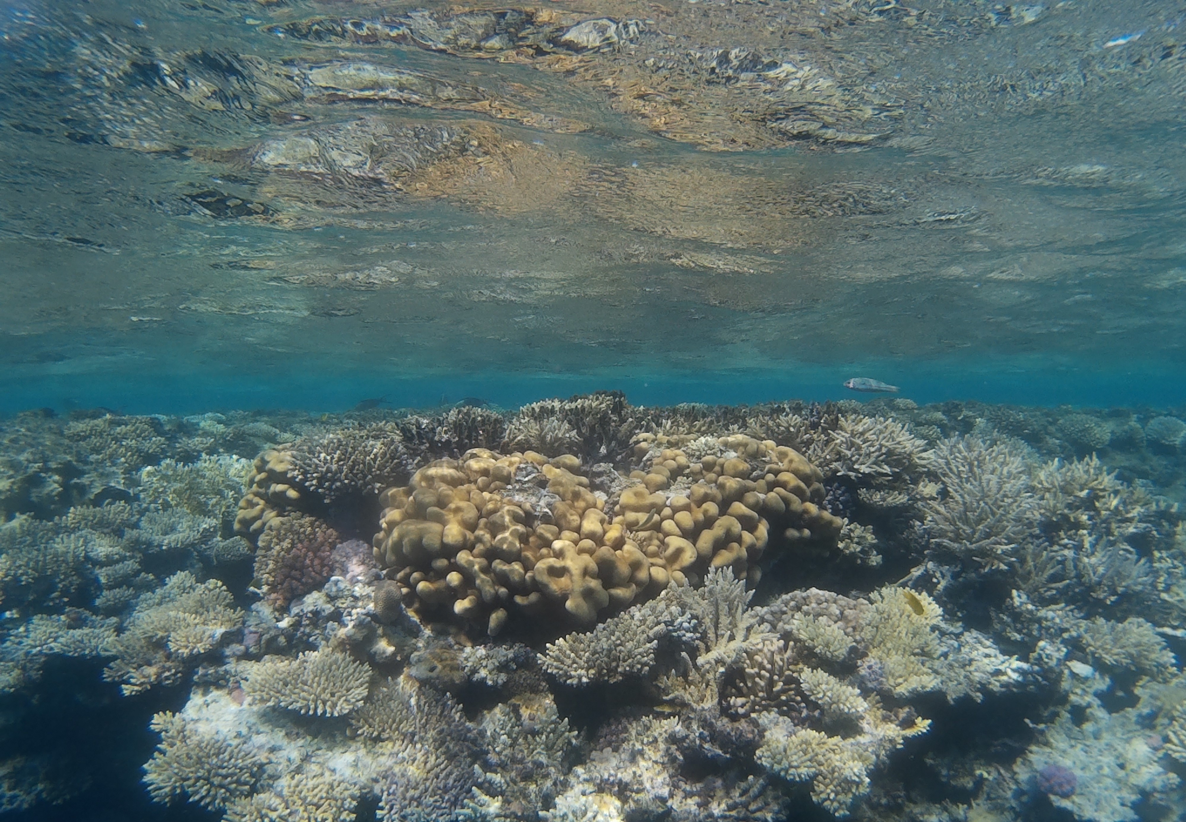
For my undergraduate dissertation I travelled to Mexico to research a territorial reef fish. It was the first time I’d ever seen a coral reef and I was instantly hooked.
Could you tell me about one of your favourite diving experiences or anecdotes?
Hurghada was the best diving I’ve experienced - the coral cover was amazing and there was so much life. Seeing a manta ray in the Seychelles was also one of my diving highlights as they are so majestic.

How challenging it was to get to the place you are?
It required a lot of work experience, voluntary roles, and spending my free time furthering my knowledge as much as possible. This required completing online courses, writing articles for sci-com organisations etc., but it is all worth it in the end!
Could you give any tips to early career scientists or to students who are considering pursuing a career as a marine scientist?
If you are interested in pursuing a career in the field I would highly recommend getting as much diving experience as possible. A lot of jobs require Divemaster qualifications as well as boat handling experience and first aid.
What would you suggest to someone who is reading this on ways to be involved in marine conservation?
Network as much as possible, go to conferences, give presentations and interact with other scientists!
Explora más

¡Estamos buscando un(a) Coordinador(a)!
Buscamos una persona apasionada por el océano, dedicada y creativa.
.jpg)
Conoce a Raices Marinas
Platicamos con las fundadoras de Raices Marinas, Valery y Mariana, dos biólogas marinas egresadas de la Universidad Autónoma de Yucatán, para conocer su historia, sus retos y la pasión que las impulsa a hacer comunidad desde Puerto Morelos.
.jpeg)
Un día para conocer más sobre el pez más grande del océano: el tiburón ballena
Cada 30 de agosto, celebramos el Día Mundial del Tiburón Ballena, un día dedicado a la concientización sobre el tiburón más grande que habita hoy en los océanos. Para conmemorar este día, hablamos con Mariana Argüero, quien ha dedicado los últimos dos años de su vida a estudiar y conocer más sobre esta enigmática especie.
Sin resultados
Tus filtros no arrojaron resultados, intenta nuevamente.